最新颱風動態|颱風瑪娃【颱風消息即時不斷更新】瑪娃颱風假/颱風停班停課|瑪娃颱風動態
水庫即時水情
最新颱風動態|颱風快訊
氣象局颱風LIVE直播
三立準氣象
颱風討論區
瑪娃強度減弱!今夜解海警?10縣市防「豪大雨」
瑪娃速度變快了!半個台灣成雨區 最快今夜解海警https://www.youtube.com/embed/PyPs1UgX6dM
瑪娃慢速移動!宜蘭、北部防大雨 西半部小心高溫
最新颱風動態|颱風快訊
中颱「瑪娃」進逼!東部掀長浪 漁民綁船戒備
2023/05/30 14:31
隨著瑪娃颱風逐漸逼近,花蓮也掀起長浪,當地漁民趕緊進港拉起繩索,將船隻固定好,就連小琉球遊客也趕緊回屏東。不過在宜蘭卻有三星蔥農樂觀表示,看來颱風轉向,風雨應該沒有預期的大還下田去插苗。
好美!台東天空驚現「火燒雲、七彩雲」震撼網:九尾狐仙乘颱風下凡
2023/05/30 12:42
中度颱風瑪娃龜速移動中,目前氣象局已發布海上警報,預估未來路徑不會直撲台灣,不過受到颱風外環氣流影響,今(30)日晚間至明日上午,北台灣及中、南部山區將有明顯降雨;昨(29)日傍晚台東南橫山區出現「火燒雲」和「七彩雲」奇特景象,民眾笑說是仙...
快訊/瑪娃颱風影響 蘭嶼今下午1時起「停止上班、上課」
2023/05/30 12:23
受瑪娃颱風影響,本縣蘭嶼鄉平均風力及陣風,已達停班停課標準,有影響安全之虞,今日(5/30)下午1時起停止上班、停止上課。
瑪娃雨彈最強勁時刻來臨!1圖看降雨熱區「一路下到週五」 3地區吹狂風
2023/05/30 12:21
根據氣象局最新資訊,中颱「瑪娃」過去3小時內強度已略為減弱,其暴風圈已進入巴士海峽及臺灣東南部海面,對巴士海峽、臺灣東南部及臺灣東北部海面構成威脅。除大台北地區有間歇性降雨外,桃園、新竹降雨機率也提高,明天會是雨勢最明顯的時候,降雨會一直持...
「瑪娃」龜速逗留!海運6航線、25航次停航 8省道可能實施管制
2023/05/30 11:27
中颱瑪娃龜速移動中,交通部航港局公布,受天候影響,今(30日)共有6航線、計25航次停航;公路總局也指出,台2線(濱海公路)、台7線(北橫公路)、台7甲線(中橫支線)等重點路段可能實施管制,提醒民眾多加留意路況資訊。(記者:楊晏琳)
中颱瑪娃逼近!台東沿岸濤天巨浪 民眾冒險觀浪
2023/05/30 11:03
今(30)日一早,台東沿岸持續出現長浪和強陣風,有在地民眾說,這大概是兩年以來最大的海浪,不過現場還是有不少民眾來觀浪,還有人坐在岸邊礁石上,靠海邊非常近。
散步都比它快!瑪娃龜速迴轉 氣象粉專:「雙重打擊」強度減弱結構鬆散
2023/05/30 11:00
瑪娃颱風來到家門口,昨29日傍晚氣象局已經發布海上颱風警報,目前暴風圈正壟罩巴士海峽及東南部海域,預估未來會以非常緩慢速度向北北西方向移動。氣象粉專也表示,瑪娃的結構變得鬆散,未來24小時緩步向北進行,時速大多在5公里以下,散步都還比它快。...
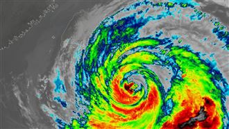
壯觀的衛星雲圖!瑪娃颱風這幾天最近台、風雨注意區域一次看
2023/05/30 10:26
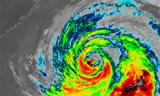
中央氣象局表示,中度颱風瑪娃(MAWAR)今(30)日8時的中心位置在北緯20.4度,東經125.0度,以每小時4公里速度,向北北西進行。中心氣壓945百帕,近中心最大風速每秒43公尺,瞬間最大陣風每秒53公尺,七級風暴風半徑300公里,十...
颱風「瑪娃」海警發布 花蓮間歇雨沿岸拉設封鎖線
2023/05/30 10:26
颱風「瑪娃」海上颱風警報昨晚發布,花蓮今(30)晨出現間歇陣雨,海巡人員於沿岸禁(限)制公告區域拉設封鎖線,防止民眾進入。警消提醒沿海地區易有長浪,勿觀浪、戲水等。
瑪娃暴風圈未觸陸「散步都比它快」!北東風勢強勁 一圖看颱風最新動向
2023/05/30 10:13
中颱瑪娃逼近,昨(29)日晚間8時30分發布海上颱風警報,目前颱風中心在鵝鑾鼻東南東方海面,「台灣颱風論壇|天氣特急」臉書粉專今早指出,瑪娃未來24小時緩步向北進行,時速約5公里以下「散步都還比他快」。
‹
6
7
8
›
氣象局颱風LIVE直播
瑪娃強度減弱!今夜解海警?10縣市防「豪大雨」
瑪娃速度變快了!半個台灣成雨區 最快今夜解海警
瑪娃慢速移動!宜蘭、北部防大雨 西半部小心高溫
瑪娃「龜速」襲台暴風圈威脅續增?何時解除海警?
中颱瑪娃強度減弱 中部山區、南部地區防午後雷陣
瑪娃龜速移動中 雨彈今起連灌4天「離島現強風」
中颱瑪娃今起影響台灣!另有一颱風「谷超」可能生成
氣象局20:30發布「瑪娃」海警 外圍環流週二甩雨
瑪娃颱風發威!陣風強度上看10級
瑪娃暴風圈又變大開始北轉!海警估最快深夜發布
‹
1
2
›
颱風討論區
▲
回頂部