APP下載
活動
爆料
圖輯
AI爆報
追蹤新聞
4
全球極限體能大賽台中登場
台灣彩券開獎直播中
三立iNEWS新聞台線上直播
LIVE三立+24小時直播
即時
助理費爭議
小紅書遭封鎖
新聞
熱門
政治
社會
娛樂
生活
新奇
健康
國際
兩岸
運動
財經
房產
旅遊
科技
汽車
遊戲
ESG
影音
總覽
政論
節目
熱搜
直播
iNEWS
專題
總覽
特企
專頁
大事件
彩券
專欄
民調
快訊
馬桶公司得標軍購?馬時期這家也搶5.94億
13:34
41歲桂綸鎂突喊:我好像懷孕 模樣全被拍
13:31
第2批M1A2T進駐坑子口 12月底戰車砲射擊
13:30
坣娜過世前失聲失明 薛智偉公開亡妻遺願
13:29
藍白立法亂象 王定宇給「對抗解方」
13:29
擺攤賣麵遇劫!白車逆衝奪命…2魂斷路口
13:27
GD唱腔挨轟!演唱會回擊:不喜歡就算了
13:27
玩雲霄飛車喪命死因曝 女友求救沒人聽見
13:27
北捷音樂節超狂 大咖天團台上驚喜現身
13:26
趙露思蹲地啃雞腿被目睹 簽新東家近況曝
13:19
黃國昌稱柯文哲「老大」…曝助理費態度
13:18
財劃法挺行政院硬起來 486轟藍白毀憲亂政
13:18
健志獲傑出校友 意外洩女星親爸超狂背景
13:16
台中男「見女友被載走」怒砸車!反遭衝撞
13:13
投手群也期待魔鷹回歸 陳柏清:別打我們
13:05
動漫祭唱跳表演 AI練習生登台圈粉
13:00
新聞幕後/國安基金變1兆?「5」大亂鬥!
13:00
1折棒球手套詐騙:月入幾十萬!警要查了
12:54
韓國瑜婉拒茶敘!鄭麗文:重大憲政危機
12:51
醉騎共享機車遭攔 26歲男辯:只吃椒麻雞
12:51
台灣彩券開獎直播中
20:31
全球極限體能大賽台中登場
12:30
高雄大氣球遊行登場 21顆空飄氣球超壯觀
12:00
賴瑞隆重整腳步再出發 高市議員團結力挺
10:00
嘉義市城市博覽會開幕「嘉義大舞台」嗨翻
20:00
健康AI領導品牌 威力先進得獎不斷
20:30
《上山吧》團員用「優蛋白EX」補充能量
13:00
《上山吧!台灣隊》創舉!征服非洲之巔!
10:00
他靠科學化心法兩年滾出千萬財富!
08:30
首頁
關鍵字
眼牆
眼牆
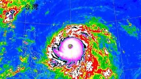
鳳凰恐將「二度增強」!共伴效應正式啟動
今年第26號颱風鳳凰來勢洶洶!中央氣象署發布海上陸上...
2025/11/11 07:52
美軍飛入颶風艾琳 颱風眼實況震驚全球
今年大西洋第一個颶風「艾琳」,在短短24小時內罕見地...
2025/08/18 09:32
詭颱「丹娜絲」創4項紀錄 120年來首見!
中颱丹娜絲週日深夜登陸嘉義布袋,創下台灣氣象觀測史1...
2025/07/08 06:12
有望連放4天 週四、週五影響最劇
氣象專家吳德榮表示,週三東北季風及康芮外圍環流影響,...
2024/10/29 10:05
颱風登陸眼牆曝光 高雄捷運1路段急停駛
中颱山陀兒龜速北上進逼南台灣,今(3日)中午12時4...
2024/10/03 14:34
高雄人:高層住宅被吹到晃!在裡面會頭暈
高雄的民眾務必當心!中央氣象署表示,第18號颱風於1...
2024/10/03 13:09
風力破紀錄!專家:高雄恐會出現嚴重災情
颱風山陀兒持續逼近,一定要提高警覺!中央氣象署官方臉...
2024/10/03 11:51
專家:高屏沿海正接受颱風眼牆最劇烈風雨
千萬不要掉以輕心!氣象粉專「天氣風險 Weather...
2024/10/03 11:11
山陀兒眼牆侵襲!高雄港破紀錄17級強風
高屏民眾務必要提高警覺!山陀兒颱風來勢洶洶,專家提醒...
2024/10/03 10:45
山陀兒停滯卡在家門口!吳聖宇喊速度太慢
中颱山陀兒來勢洶洶,今(2)日全台放颱風假,中央氣象...
2024/10/02 10:38
山陀兒將南高屏登陸 眼牆伴隨破壞性強襲
今晨紅外線雲圖顯示,第18號颱風「山陀兒」在巴士海峽...
2024/10/01 08:59
山陀兒關鍵北轉強勝賽洛瑪 4地風雨最劇
中央氣象署最新資料,第18號颱風「山陀兒」已增強為強...
2024/10/01 06:35
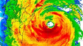
山陀兒1路徑恐重創高雄!風力最強眼牆掃過
今年編號第18號中度颱風「山陀兒(KRATHON)」...
2024/09/30 15:08
凱米「最強眼牆」要來了!專家10字示警
凱米颱風來勢洶洶,中央氣象署指出,各地風雨逐漸增強,...
2024/07/24 06:12
小犬「越跑越南邊」變慢了!專家憂吐1句
小犬颱風來勢洶洶「強風特別有感」,動向備受外界關注。...
2023/10/05 04:31
小犬眼牆厚實特別暴力!專家示警3登陸熱區
今年編號第14號颱風小犬(國際命名 KOINU),今...
2023/10/04 15:31
國家警報大響 大雷雨警戒區域曝光
中央氣象局今(3)日15時22分發布大雷雨即時訊息,...
2023/09/03 15:45
海葵眼牆恐移入2處 專家:極具破壞力
中颱海葵將登陸台灣,動向持續受到關注。對此,氣象粉專...
2023/09/03 15:08
海葵南側眼牆超紮實 專家:是眼袋還臥蠶
第11號颱風海葵今(5)日清晨5時已觸陸,中央氣象局...
2023/09/03 11:31
杜蘇芮眼牆正輾金澎!1圖曝「超大風場」
今年第5號颱風「杜蘇芮(DOKSURI)」颱風路徑偏...
2023/07/28 09:02
瑪娃「眼牆置換」強度變了!最新路徑出爐
今年地表最強颱風瑪娃出現眼牆置換徵兆,不過氣象局表示...
2023/05/27 11:11
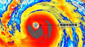
山竹極限未到!眼牆「噴閃電」強度↑
山竹來了!颱風的中心位置於今(15)日凌晨2時半登陸...
2018/09/15 07:56
山竹正進行眼睛整容!強度恐再攀巔峰
今年第22號颱風「山竹」於11日上午8時轉為強烈颱風...
2018/09/13 09:54
海馬颱風發威 這縣市明晚最先受影響
受到東北風的影響,宜蘭與大台北迎風面地區明顯有降雨,...
2016/10/18 20:51
眼牆置換完成 鄭明典:海馬恐增強
今(18)日凌晨轉強颱的海馬,雖然不會直接侵襲台灣本...
2016/10/18 19:40
海馬有新眼牆!鄭明典:颱風恐增強
強颱海馬來勢洶洶,中央氣象局預計明(19)日會發布海...
2016/10/18 12:05
最新圖輯
更多
第62屆金馬獎得獎後台
第62屆金馬獎紅毯
劉書宏專訪
袁澧林、陳孝萱專訪
第36屆金曲獎星光大道
第36屆金曲獎得獎圖輯
NMIXX林口體育館粉絲演唱會
KISS OF LIFE台北演唱會
林芯儀專訪
GYUBIN大巨蛋開球
今日頭條
1
民進黨已布局2026選舉 鄭麗文:只好奉陪
2
藍白立法亂象 王定宇給「對抗解方」
3
趙露思蹲地啃雞腿被目睹 簽新東家近況曝
4
擺攤賣麵遇劫!白車逆衝奪命…2魂斷路口
5
坣娜過世前失聲失明 薛智偉公開亡妻遺願
6
中國重映《賽德克.巴萊》 操弄仇日翻車
7
6縣市恐跌破10度!下波冷空氣活躍時間曝
8
《青青河邊草》何晴病逝 最後公開身影曝
9
備戰2026 王婉諭:重新擦亮第三勢力招牌
10
新/布朗大學槍案2死者為學生 400警搜槍手
HOT焦點
更多
臺北耶誕愛無限登場!聚集人潮感受氣氛
健康AI領導品牌 威力先進得獎不斷
《上山吧》團員用「優蛋白EX」補充能量
頻道推薦
直播✦活動
三立新聞網
為了提供更好的閱讀內容,我們使用相關網站技術來改善使用者體驗,也尊重用戶的隱私權,特別提出聲明。
了解最新隱私權聲明
知道了